【毒刺甲虫】サソリカミキリ 昆虫標本 Onychocerus ウスバカミキリ サソリカミキリ(Onychocerus albitarsis)・川崎悟司イラスト集
(3023件)
Pontaパス特典
サンキュー配送
9164円(税込)
92ポイント(1%)
Pontaパス会員ならさらに+1%ポイント還元!
送料
(
)
3022
配送情報
お届け予定日:2026.04.08 15:15までにお届け
※一部地域・離島につきましては、表示のお届け予定日期間内にお届けできない場合があります。
ロットナンバー
5887516959
お買い物の前にチェック!
Pontaパス会員なら
ポイント+1%
ポイント+1%
商品説明








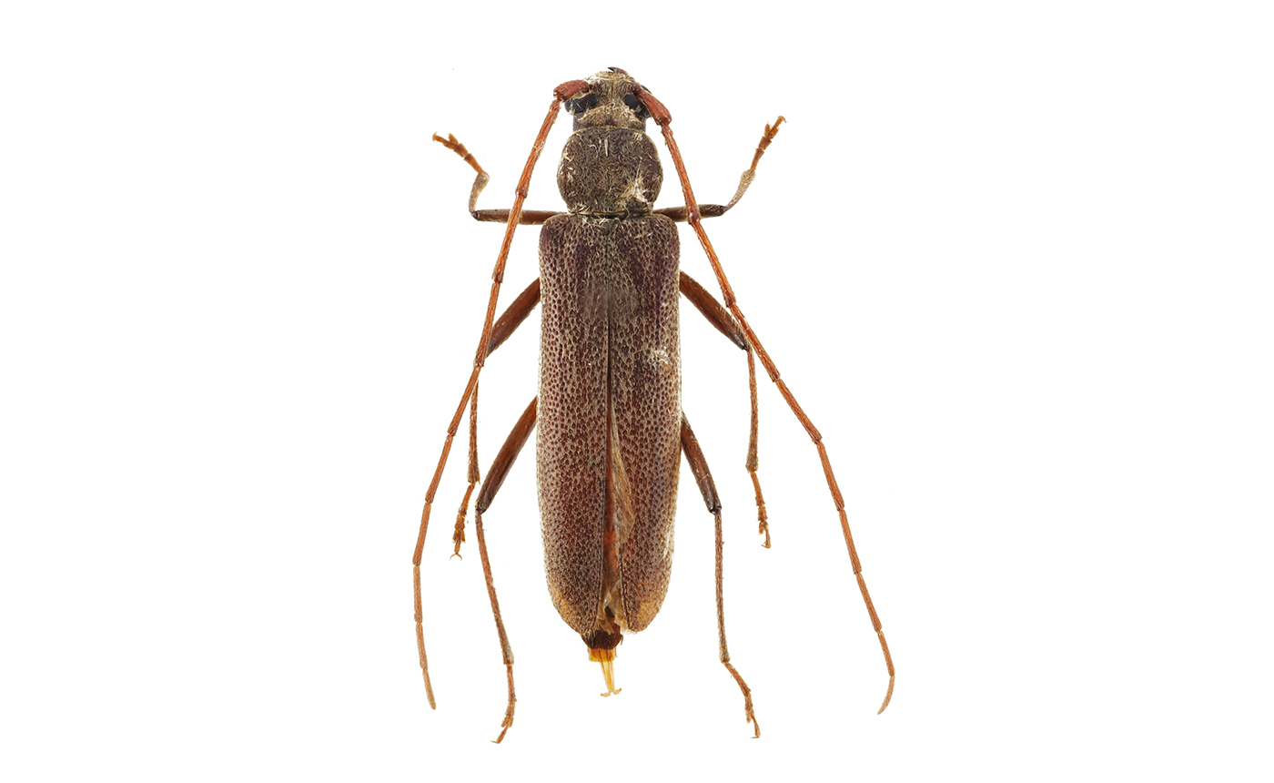
学名: Onychocerus scorpio ?英名: scorpion beetleサソリのように触覚の先端に毒針を持つカミキリです。種小名にscorpionがついておりますが、一属五種の中でどの種が毒を持ち・毒を持たないのかよくわからないそうです。少なくとも O.albitarsusの♂は毒を持つと言われています。オニコセルス・アルビタルシス(Onychocerus albitarsis)は、カミキリムシ科の甲虫の一種で、ブラジル、ボリビア、パラグアイ、ペルー南部のアマゾン川流域や大西洋岸の森林地帯に生息しています。毒針を持つ唯一の甲虫であり(毒を撒き散らすオオカミキリや、ツチハンミョウのように体から毒素を分泌するカミキリとは対照的)、触角で刺す唯一の節足動物です。それぞれの触角の先端にはサソリの尾のような針があり、毒腺につながっています。サソリハムシの針は何世紀も前から知られており、1884年にはすでに報告されていましたが、毒があることが確認されたのは2005年になってからでした。この甲虫が人間を刺したある事例では、女性が刺された直後に激しい痛みを感じ、刺された箇所が1週間赤くなり痒みが続きました。別の事例では、男性が刺された直後に中程度の痛みを感じ、赤みは1時間しか続きませんでした。オニコセルス属の他の種は、オニコセルス・アルビタルシス(Onychocerus albitarsis)の毒器官に関連する触角内の構造を欠いているため、無毒であると考えられます。オニコセルス・アルビタルシス(Onychocerus albitarsis)は、体長約2cm(0.8インチ)の頭体を持ち、黄褐色、黒、白の斑紋が見られます。その習性についてはほとんど知られていませんが、植食性です。申し訳ありませんが輸送に伴うグレードダウン保証はございませんのでご了承願います。画像個体を配送します。私が計測したところ16mmでした。ラストです。
| カテゴリー: | ペット用品>>>標本>>>クワガタ |
|---|---|
| 商品の状態: | やや傷や汚れあり","目につく傷や汚れがある |
| 配送料の負担: | 送料込み(出品者負担) |
| 配送の方法: | 未定 |
| 発送元の地域: | 未定 |
| 発送までの日数: | 1~2日で発送 |
お店の情報
7,367
連絡・応対
4.3
配送スピード
4.3
梱包
4.3










